You must get out, get to high ground, hurricane Melissa category 5 (~stronger than Katrina!) can deliver loss of life not considered before, no game, it is life-threatening catastrophe for Jamaica,
I/we pray God spares Jamaica, a high risk of great loss of life and catastrophic damage great loss of life and long-term devastation due to tremendous flooding, mudslides and high winds.
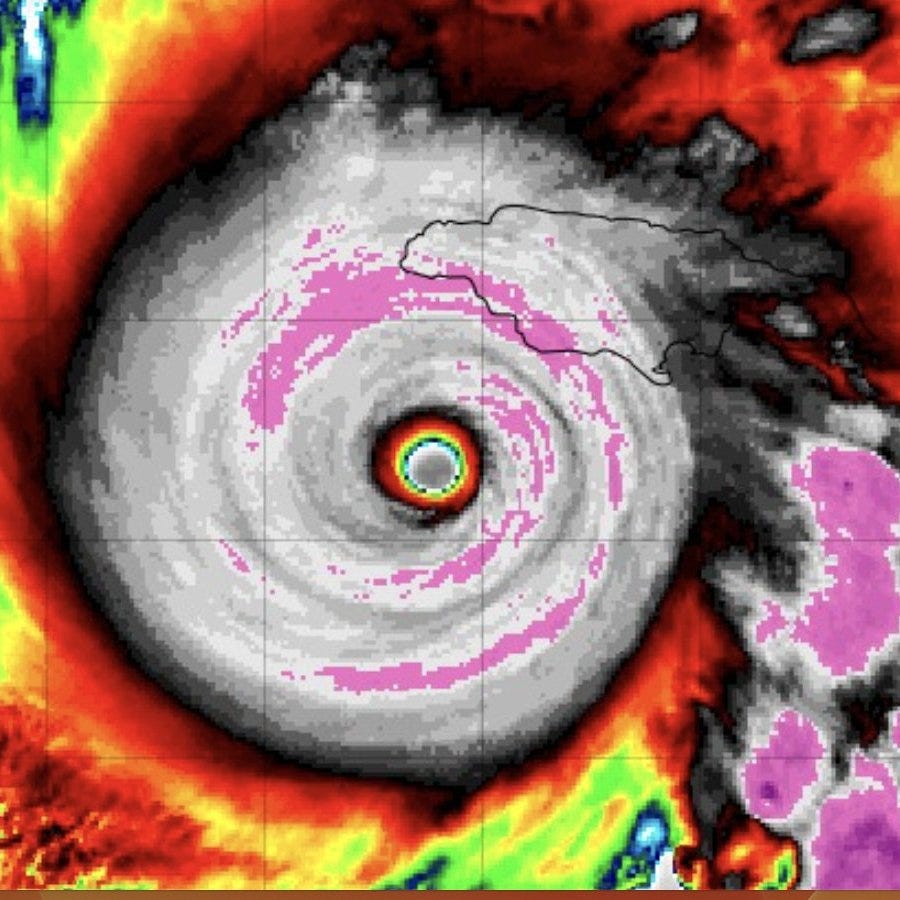
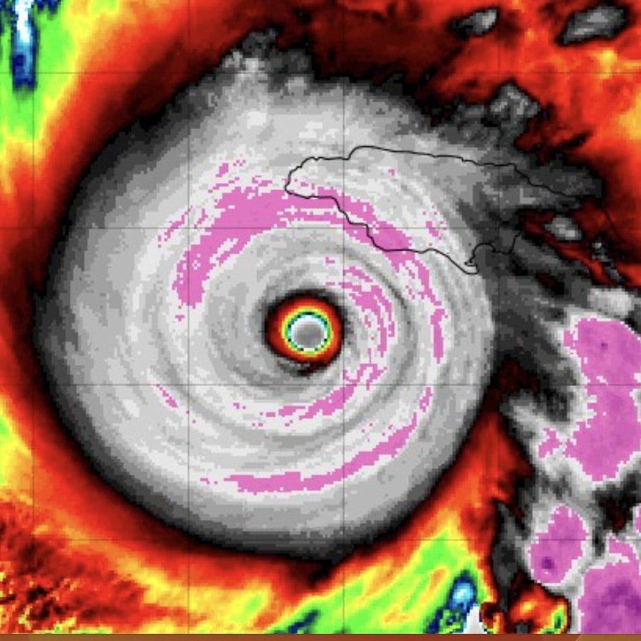
sustained winds in Melissa’s sustained winds in Melissa’s eyewall had increased to 175 mph…“People choosing to ride out the storm in unsafe areas, or those who are unable to move out of harm’s way, will face great peril,” AccuWeather’s Chief Meteorologist Jon Porter said.
“Everyone needs to follow evacuation orders in high-risk areas,” Porter warned. “People in Jamaica have not experienced a direct strike from a major hurricane in nearly 40 years. Hurricane Gilbert made landfall in 1988 as a Category 3 storm, moving much faster than Melissa is forecast to move when the eye reaches the southern coast of Jamaica. Extreme impacts could last for hours in places in the path of the eyewall as the hurricane crosses the island.”
___
You must not wait for another catastrophic crisis (at times manufactured but we are prevented from making our own basic personal decisions or accessing needed drugs and response tools) to catch you off-guard. We must take charge and be prepared today so that we can enjoy peace of mind tomorrow.
Enter the Wellness Company as a solution and a willing participant in the health care conversation. The Wellness Company, launched in 2022, offers health care, prescriptions, and supplements, all backed by research
The Wellness Company isn’t chasing profits — it’s trying to help people recover. While the government continues pushing vaccines, The Wellness Company is focusing on real solutions.
From telemedicine, prescriptions, memberships, and supplements, TWC is leading America with alternative choices to the traditional health care model.
Please consider support of a good PATRIOT company (in this PATRIOT economy) Drs. McCullough, Risch, Thorp, myself support (they are our sponsors), The Wellness Company; see the emergency preparation kit (key component being antibiotics you were denied by doctors, pharmacists, governments during the fraud COVID), first aid kit, travel emergency kit, contagion control kit etc. Please consider the SPIKE SUPPORT (spike protein DETOX dissolving spike from mRNA vaccine, this is critical to remove spike form the mRNA vaccine/and DNA viral vector) formula with NATTOKINASE as well as the triple formula (SPIKE SUPPORT, BROMELAIN, CIRCUMIN)
If you wish to give a donation to help me, you can at:
Zelle:
sr7283@gmail.com
Or Ko-Fi
Ko-fi.com/drpauleliasalexander
Or to my address at:
150 South 8th Street
Unit 170
Lewiston, New York
14092
Alternatively, please consider going from an UNPAID subscriber or follower to a PAID at $5 per month or $30 per year. This can provide me help. If this is not possible at this time, this is ok, please remain a subscriber for FREE and there is no difference between FREE and PAID. No restrictions.




Hurricane Melissa Hours From Record Strongest Jamaica Landfall As Category 5 With Catastrophic Flooding, Winds
Melissa will make history in Jamaica with landfall today, packing catastrophic flooding, landslides and destructive winds. It will then target eastern Cuba and the southeast Bahamas. Here's the very latest forecast. Hurricane Melissa is just hours from a historic, catastrophic Category 5 landfall in Jamaica today with life-threatening flash flooding, landslides, destructive winds and storm surge in one of the strongest landfalls on record anywhere in the Atlantic Basin.
Kathleen Taylor, if you’re scrolling through these storm warnings with a cup of something strong, this one’s for you.
I’ve danced with hurricanes before— a few nameless brutes—but none spun me like the Category 5 you became. Remember when you slid Roxy Music into my DMs? “Like a Hurricane,” you captioned, and there it was, Ferry crooning: “I want to love you but I’m getting blown away.” I thought it was flirtation. Turns out it was a forecast.
You lured me in with siren songs and soft-focus promises, then—poof—ghosted post-diagnosis, leaving me to mop up the wreckage of a life you’d already half-drowned. Life-threatening stressors for sport, devastation for dessert. The cruelty had intent, darling; that’s what made it so hard to take. A random squall I could forgive. A calculated tempest? That’s just bad meteorology.
Still, I wish the good people of Jamaica nothing but blue skies and gentle trades. May their roofs stay nailed, their rum stay cold, and their hearts stay un-ghosted.
Stay dry, Kathleen. And next time, try a postcard. Less collateral damage.